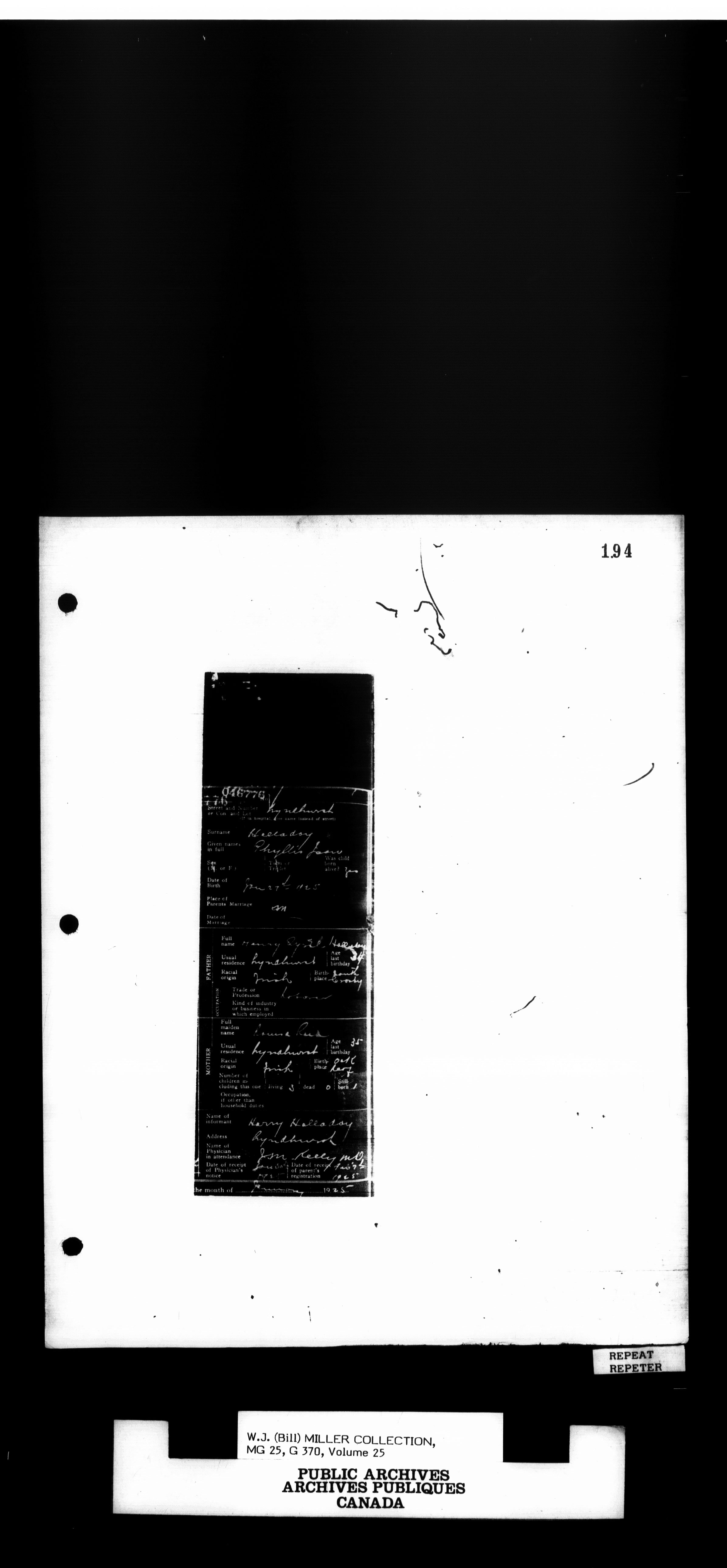
W.J. (Bill) Miller collection : H-1672

Cette collection numérique contient des images de documents historiques textuels. Un texte alternatif n’est pas disponible pour ces images.

Pour obtenir de l'aide et des options de téléchargement supplémentaires, veuillez consulter notre page documentation

Aide 1441 images, 0 avec recherche en texte intégral

Notice bibliographique du document

Titre
W. J. (Bill) Miller - 1672
Identificateur
H-1672
105923
MG 25 G 370
oocihm.lac_reel_h1672
lac_reel_h1672
Document original
Library and Archives Canada / Bibliothèque et Archives Canada
Langue
anglais
URL pérenne
https://n2t.net/ark:/69429/m0t43hx16g98