Dominion Lands Branch : Correspondence files : T-14463

Cette collection numérique contient des images de documents historiques textuels. Un texte alternatif n’est pas disponible pour ces images.

Pour obtenir de l'aide et des options de téléchargement supplémentaires, veuillez consulter notre page documentation

Aide 1478 images, 0 avec recherche en texte intégral

Notice bibliographique du document

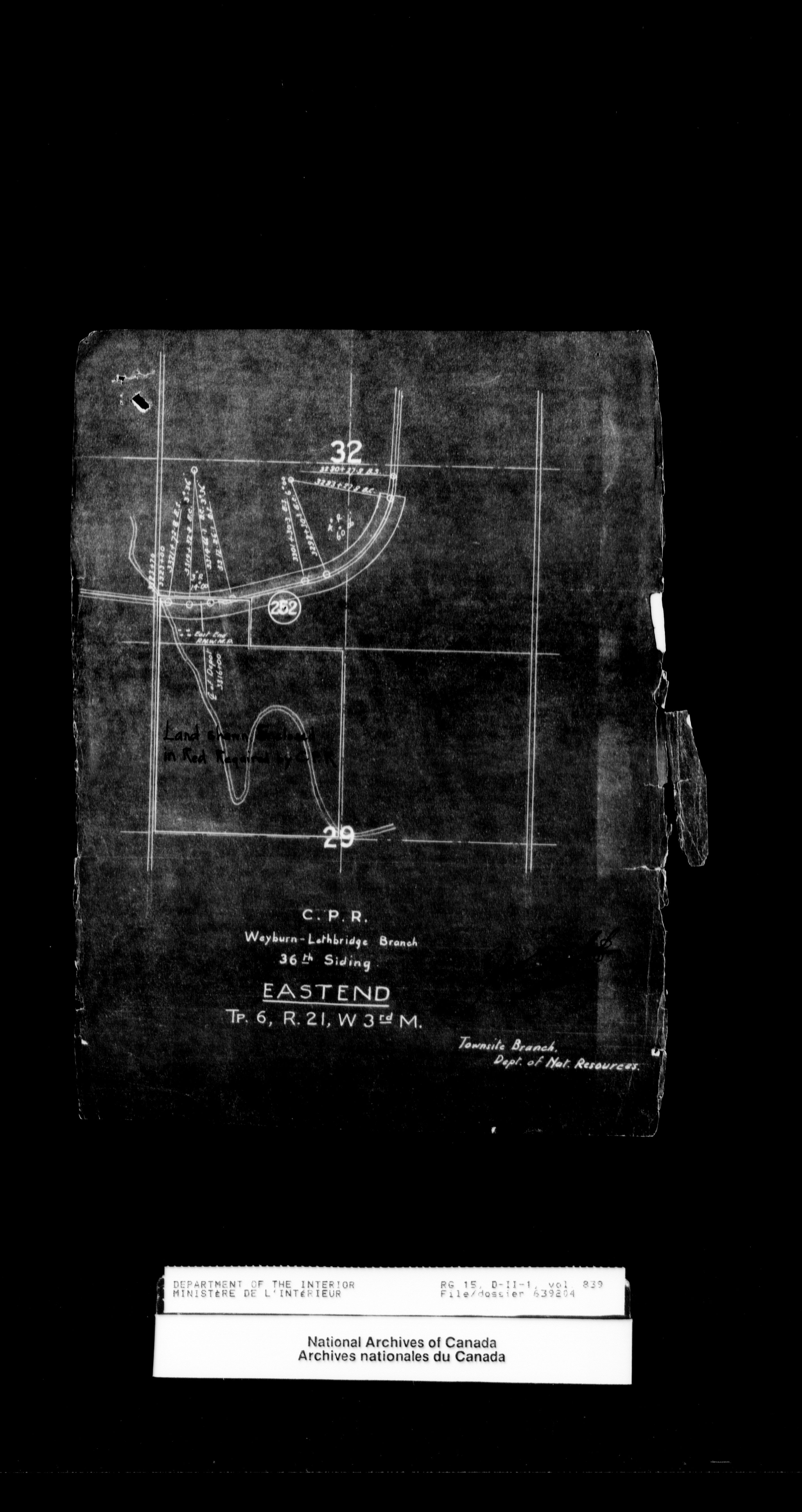
Titre
Dominion Lands Branch - Correspondence Files - 14463
Identificateur
T-14463
97622
RG 15 D II 1
oocihm.lac_reel_t14463
lac_reel_t14463
Document original
Library and Archives Canada / Bibliothèque et Archives Canada
Langue
anglais
URL pérenne
https://n2t.net/ark:/69429/m0nv9959d110