This digital collection contains images of historical texts. Alternative text is not available for these images.
Loading...
There was an error retrieving this image.
For help and additional download options, please see our documentation
Help
723 images, 0 with full-text search
- Title
-
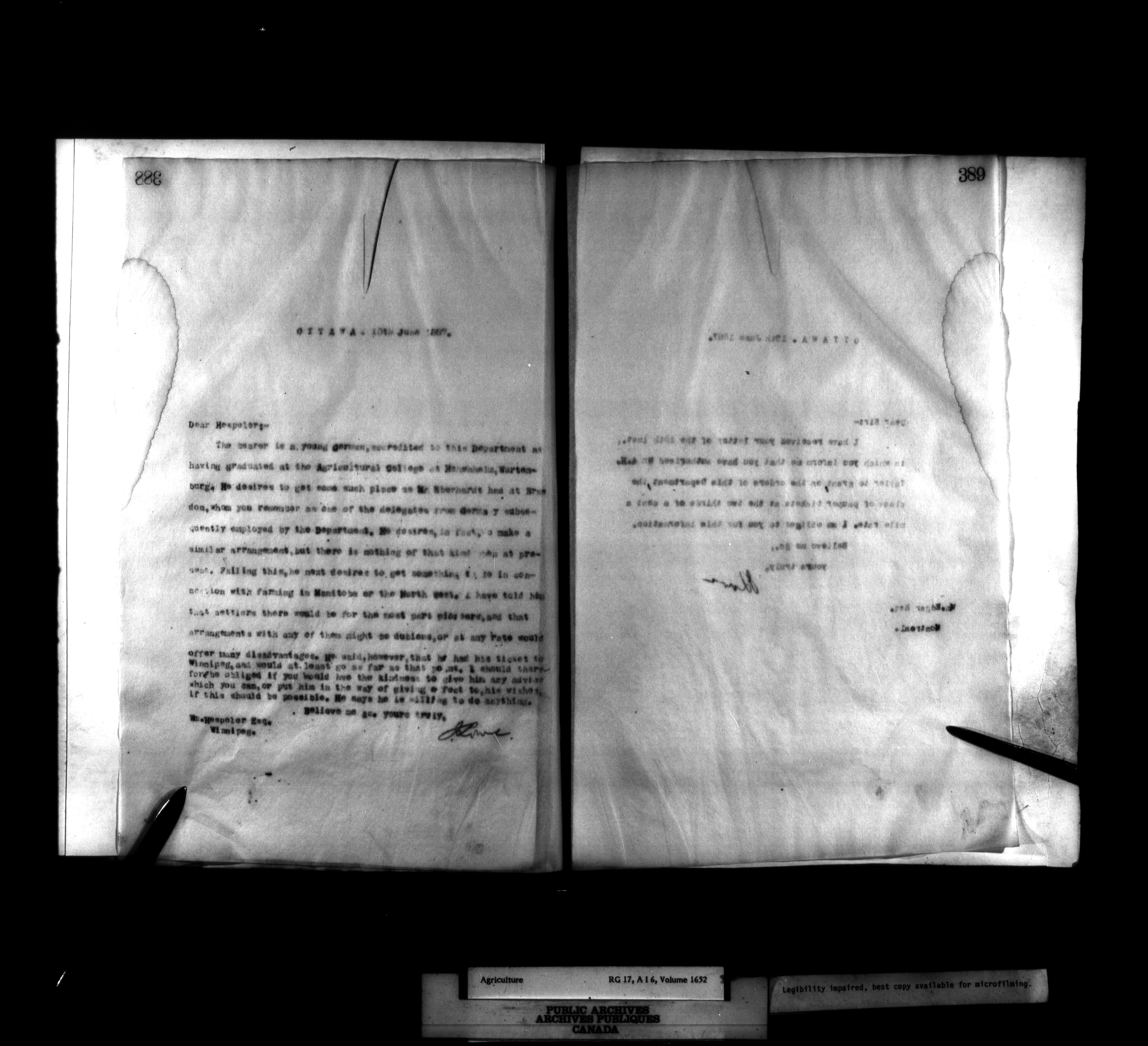
Department of Agriculture : Semi-offical letterbooks, 1871-1893 - 148
- Identifier
-
T-148
156178
163169
RG 17
oocihm.lac_reel_t148
lac_reel_t148
- Document source
-
Library and Archives Canada / Bibliothèque et Archives Canada
- Language
-
English
- Persistent URL
-
https://n2t.net/ark:/69429/m0z02z31pf92